Gottröra Tomter

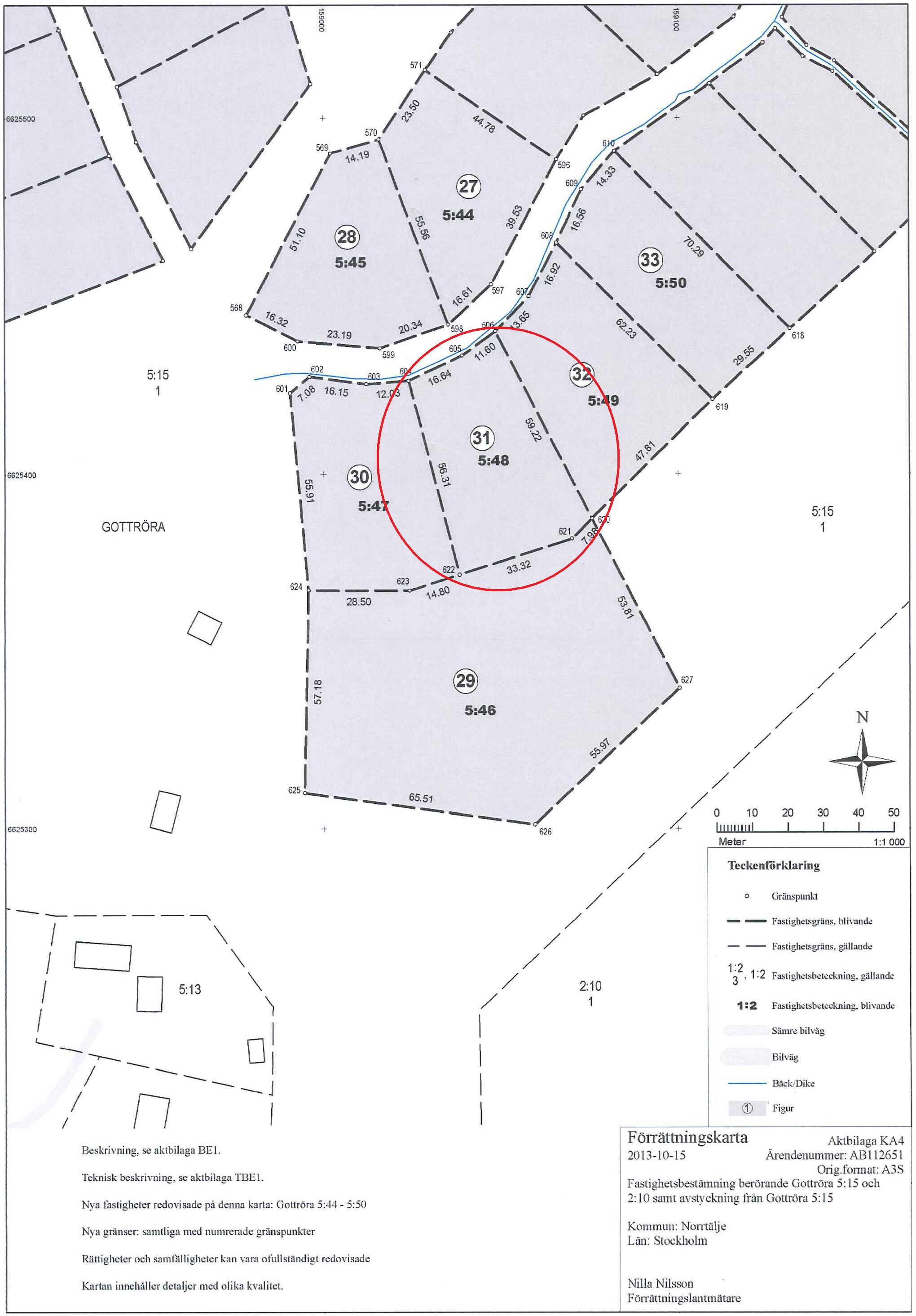
Tomt nr 31

Gottröra 5:48
​ 2 006 m²
​ Pris 1 200 000 kr

Vatten, avlopp, el och bredband (fiber) är framdraget till tomtgräns.
Anslutningsavgift vatten och avlopp ingår i tomtpris.

Gemensamhetsanläggning finns för hela området, bestående av:
- Vattenverk placerat i nordöstra hörnet av 5:15. 2 st nedsänkta pumpar pendelkörs.
- Vattenreservoar på 10 000 liter och 2 st tryckstegringspumpar som pendelkörs.
- Avloppsanläggning med trycksystem och reningsverk Topas 250.
- Belysningsstolpar med ledbelysning är jämt fördelade över området.